:
:
:
:
:
- :
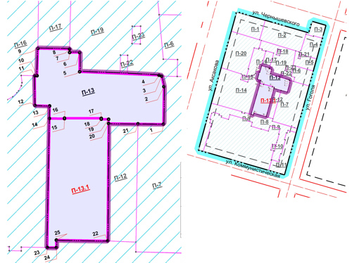
- (1) , , , , ., . 362 09.03.2023.
- (2) , , , , -13. 613 15.04.2025.
- (3) , , , , . 1885 26.11.2023.
- (4) , 1- , , ĸ .
- (5) , , , , , . 2228 26.12.2024.
, , , , . 2295 28.12.2024.
- (6) , , , , . 1690 30.09.2022.
- (7) , , , , . 2188 20.12.2024.
- (8) : 10 . 1706 28.09.2023.
- (9) , , , . 1884 08.11.2024.
- (10) "" .
- (11) , , - . 1000 24.08.2021.
- (12) , - . 377 15.04.2021.
- (13) 94, , , , . 2208 15.12.2023.
- (14) 203, , , , . 453 05.04.2024.
- (15) , 50- , , , . 1045 11.07.2024.
- (16) , , , , . 2216 26.12.2024.
- (17) . , , -19, -32 .
- (18) , , . . 348 06.03.2023.
- (19) , , , , . 730 30.04.2025.
- (20) -8, , , , -8,-9 . 2217 26.12.2024.
- (21) - " " . 1100 30.06.2025.
- (22) , , , , . 1390 27.08.2024.
- (23) - "" . 821 22.05.2025.
:
:
- .
- . -
- (20 )
- .
- .
:
- .
- .
:
- , , . ( ) - .
- - .
- :
- ( M1:500): - : , ĸ-8, 8 , , , , ; - , , ѻ, , , . ., ', -, .
- . - M1:2000
- - M1:2000
- - M1:5000




